Säugetiere im Glemstal: Raubtiere (Carnivora)
Sie finden hier eine Dokumentation der wildlebenden Raubtiere im unteren Glemstal.
Alle Fotos aus dem unteren Glemstal (Markungen Schwieberdingen, Hemmingen und Markgröningen)
Für Hinweise und Ergänzungen und eigene Beobachtungen aus dem unteren Glemstal sind wir dankbar. Bitte schicken Sie uns eine kurze mail.

   Klick auf "... mehr" öffnet die Beobachtungen und weitere Fotos des Tieres im Glemstal.
   Meine Häufigkeitsangabe ist subjektiv und benachteiligt fotoscheue versteckt lebende Subjekte

 Ordnung Raubtiere (Carnivora)

Dachs-03wsw4.jpg IMG_1282w3.jpg DSCF9017w.jpg 5_TG5520w.jpg noch ohne Foto im Glemstal
Dachs
(Meles meles)
Mauswiesel 
(Mustela nivalis)
Steinmarder
(Martes foina)
Hermelin
(Mustela erminea)
Iltis
(Mustela putorius)
Fam. Marder (Mustelidae),
Ordnung Raubtiere (Carnivora)
Fam. Marder (Mustelidae)
Ordnung Raubtiere (Carnivora)
Fam. Marder (Mustelidae)
Ordnung Raubtiere (Carnivora)
Fam. Marder (Mustelidae)
Ordnung Raubtiere (Carnivora)
Fam. Marder (Mustelidae)
Ordnung Raubtiere (Carnivora)
alle Baue besetzt gelegentlich selten selten sehr selten
...mehr ...mehr ...mehr ...mehr ...mehr
Romeo-Cotrus-002w.jpg noch ohne Foto im Glemstal  
Rotfuchs
(Vulpes vulpes)
Waschbär
(Procyon lotor)
     
Fam. Hunde (Canidae) 
Ordnung Raubtiere (Carnivora)
Fam. Kleinbären (Procyonidae)
Ordnung Raubtiere (Carnivora)
 
nachtaktiv und nicht selten sehr selten
...mehr ...mehr

 

Dachs (Meles meles):
Ein Dutzend Riesenlöcher, in einem Gebiet 20 x 20 m, jeweils eine LKW-Ladung Erde davor: das ist ein Dachsbau
Allein im Glemstal bei Schwieberdingen gibt es 4 Dachsbaue

IMAG0014-05w.jpg T_G_4954w.jpg Dachs_IMAG0008-01.jpg
19.2.2013 Schwieberdingen
Gr. Fels
Kamera: Aldi Wildkamera
17.2.2013 Schwieberdingen
Gr. Fels
Kamera: Canon EOS 5D MkIII / 24-105
07.03.2013 Hemmingen
Kamera: Aldi Wildkamera
Foto: Markus Hansen
Nachts um 3:55 sind diese beiden Schwieberdinger Dachse in einer merkwürdigen Interaktion. Der linke Dachs liegt auf dem Rücken. Vorher waren sie zusammen herumgekugelt. Nachher haben sie ruhig gekuschelt an dieser Stelle.

... mehr über den
großen Fels in Schwieberdingen

Der große Dachsbau in Schwieberdingen.

Kleine Filme über unsere Schwieberdinger Dachse im Februar 2013 findet Ihr unter dem folgenden Link:
Dachs nachts im Hemminger Zeilwald

... mehr über den
Zeilwald in Hemmingen

Einige Filme unserer Wildkamera stellen wir zur Verfügung in der "Telekom-Cloud".
Alle Filme sind in Schwieberdingen oder Hemmingen aufgenommen. Um die Filme anzuzeigen: Klicken Sie
hier

Romeo Cotrus sind diese schönen Foto von zwei verschiedenen Dachsen am Dachsbau an der Hemminger Hagmühle gelungen. Der Dachsbau liegt für mein Gefühl genau auf der Markungsgrenze Schwieberdingen/Hemmingen.  Romeo meint "Das Tier links ist vielleicht das Weibchen, das Junge säugt, denn es hat wenig Haare am Fell. Es ist etwa 80cm groß. Ein sehr sehr schönes Tier. Ohne Blitz war nichts zu machen, den Dachs hat es aber wohl nicht gestört, er ist weiter seines Wegs gegangen. Das Tier rechts ist ohne Blitz fotografiert. War ca. 1 m groß. Dieser Dachs hat in der Dämmerung erst mal einen Rundgang gemacht, wahrscheinlich um den Terrain zu sondieren. Als er dann wieder im Bau verschwunden ist, ist Romeo gegangen, um die Tiere nicht doch noch zu stören"

Dachs-03wsw4.jpg Dachs-01w.jpg Dachs-04w.jpg _CRV8831w.jpg _CRV8832w2.jpg
21.4.2010 20:46  Hemmingen
im Glemstal bei der Hagmühle
Foto: Romeo Cotrus
21.4.2010 20:43 Hemmingen
im Glemstal bei der Hagmühle
Foto: Romeo Cotrus
21.4.2010 20:53 Hemmingen
im Glemstal bei der Hagmühle
Foto: Romeo Cotrus
19.4.2010 20:36  Hemmingen
im Glemstal bei der Hagmühle
Foto: Romeo Cotrus
Fotomontage der 3 Bilder rechts
der Hemminger
Dachs vor seinem Bau.
dieser Dachs war
ca. 80c m (!) groß, meint Romeo.


... mehr über unsere
Hagmühle in Hemmingen

 
dasselbe Tier
eine Wunde am Hals stammt vermutlich von einem Rivalenkampf zwischen männlichen Tieren.
dasselbe Tier: der Dachs vor seinem Bau
ist voller kleiner Zweige
 
ein anderer (großer) Dachs am Dachsbau bei der Hagmühle macht einen Rundgang und schnüffelt.
der Dachs war ca. 1 m (!) groß, meint Romeo
Bewegungsstudie


Die Dachse an der Hagmühle haben offenbar Mitte April 2008 beschlossen, dass sie eine größere Wohnung benötigen. Und haben begonnen, aus drei neuen Röhren Material herauszuschaffen. Insgesamt über 10 Schubkarrenladungen grob geschätzt. Also etwa eine Schubkarrenladung pro Nacht. Fleißig! Fleißig!

DSCF0973w.jpg IMG_3706w.jpg DSCF6321w.jpg DSCF6334w.jpg
29.4.2008 Hemmingen
im Glemstal bei der Hagmühle
 Kamera: Fuji Finepix F30
28.01.2011 Schwieberdingen
Glemstal-Markt
Kamera: Canon EOS 5D MkII / 24-105
15.12.2009 Schwieberdingen
NABU-Raum
Kamera: Fuji Finepix F200
15.12.2009 Schwieberdingen
NABU-Raum
Kamera: Fuji Finepix F200
Dachsbau an der Hemminger Hagmühle: eine der drei neuen Röhren 2008 am Hemminger Dachsbau
An dieser Röhre sind die Fotos 2010 vom Dachs entstanden
Manfred Herda demonstriert, wie man einfach erkennt, ob ein Dachsbau befahren wird Dachs-Präparat
77 cm + 15 cm Schwanz

...mehr über unseren
NABU-Raum Schwieberdingen
Dachs-Präparat
77 cm + 15 cm Schwanz

Wir erzählen eine Geschichte über den Dachs
    im Gemeindeblatt Schwieberdingen und Hemmingen:

29.04.2010
Woche 17

Tiere unserer Heimat: Das Wildtier des Jahres 2010

Wenn Sie bei uns im Wald spazieren gehen, sind Ihnen vielleicht schon Stellen aufgefallen, wo der Boden wie eine Buckelpiste aussieht. ...mehr

Dachs-03wsw4.jpg

 

Dachsbauten sind Verkehrsknotenpunkte
Der Dachsbau im Hemminger Zeilwald am nördlichen Waldrand ist ein wahrer Verkehrsknotenpunkt. Viele Spuren vom Dachs, aber auch Fuchs und Reh laufen dort zusammen. Die Dachse im Hemminger Zeilwald scheinen nachts auf  das offene Feld zu gehen und dort entlang des Feldrandes nach Regenwürmern zu wühlen. Zumindest sehen Sie im Schnee eine kleine Wühlspur.Beim langsamen Gehen scheint der Dachs die Hinterpfoten in die Abdrücke der Vorderpfoten zu setzen. Siehe Foto links. Das ist komisch.
Hoffentlich fällt er dann nicht zur Seite um. J
Ich habe es selbst probiert und finde es schwierig auf allen Vieren in dieser Art zu gehen. Auf jeden Fall sieht man auch Schleifspuren auf beiden Seiten der Dachsspur. Vielleicht wackelt der dicke Dachs tatsächlich so hin und her beim langsamen Laufen. Unser  Revierförster Hr. Steinacker (Revier Markgröningen, Schwieberdingen u.a.) meint: "Nachts habe ich im Revier schon viele Dachse gesehen. Dachse sind sehr sehr schöne Tiere, im Herbst sind sie richtig dick."

DSCF5161w.jpg DSCF5166w.jpg DSCF5143w.jpg
24.11.2008 Hemmingen-Zeilwald
Kamera: Fuji Finepix F30
24.11.2008 Hemmingen-Zeilwald
Kamera: Fuji Finepix F30
24.11.2008 Hemmingen-Zeilwald
Kamera: Fuji Finepix F30
Dachs Schrittlänge links
ca. 40 cm (langsamer Gang)
Dachsspur hinten nach rechts. Setzt Hinterpfote auf die Vorderpfote. Schleifspur rechts und links.
(vordere Spur: ein Fuchs läuft nach links)
Dachsspur beim Dachsbau im Hemminger Zeilwald:
hat je fünf Zehen mit langen Krallen,
ca. 5,5 cm lang
ca. 4 cm breit

... mehr über unseren
Zeilwald
in Hemmingen
DSCF1837w.jpg DSCF8656w.jpg IMG_8041w.jpg
30.10.05 12:47 Markgröningen am Dachsbau
Kamera: Canon EOS 20D / 100-400@400
20.10.2012 Hemmingen x
NABU-Stückle am Eulenberg
Kamera: Fuji Finepix F200
19.2.2012 Schwieberdingen
Feuchtgebiet Markt
Kamera: Fuji Finepix F200
12.7.2009 Markgröningen,
Weg vom Aichholzhof ins Siegental
Kamera: Canon EOS 5D MkII / 100-400
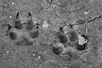
Dachsspuren (!)
ca. 8cm lang, ca. 6 cm breit
Monika Borówka zeigt eine Dachsspur mit Zehennägeln

... mehr über unsere
NABU-Streuobstwiese in Hemmingen
eindeutig Dachsspuren
vor dem künstlichen Dachsbau
auf dem NABU-Stückle in Schwieberdingen

... mehr zu unserem
→ Feuchtgebiet Markt in Schwieb.

Dachsspuren auf dem Weg ins Siegental

Der Dachsbau im Eulenbergwald bei Hemmingen ist riesig. Er hat eine Fläche von ca. 20 m x 35 m. Insgesamt 10 Löcher (8 Röhren + 2 Luftlöcher).
 

DSCF1106w.jpg DSCF9068w.jpg DSCF0610w.jpg
4.4.09 Schwieberdingen
Glemstal bei Neumühle
Kamera: Fuji F100
24.03.2012 Schwieberdingen
Feuchtgebiet Markt, am Felsenberg
Kamera: Fuji Finepix F200
21.4.2008 Hemmingen-Eulenbergwald,
Kamera: Fuji Finepix F30
eine Dachs-"Autobahn":
von rechts oben schräg den Hang herunter
Am großen Dachsbau
am Felsenberg

... mehr über unseren
Pflanzenstandort "Felsenberg II"
Dachsbau im Heimerdinger Wald

...mehr über unseren
Heimerdinger Wald bei Hemmingen

Mehr Fotos vom Dachs im Glemstal:
21.04.2010 20:46  Hemmingen
im Glemstal bei der Hagmühle gutes Dachsfoto von Romeo. Dieser Dachs war ca. 80c m (!) groß, meint Romeo. Hat eine kleine Wunde am Hals
19.04.2010 20:36  Hemmingen im Glemstal bei der Hagmühle, gutes Dachsfoto von Romeo.
15.12.2009 Schwieberdingen NABU-Raum Dachs-Präparat im NABU-Raum
24.11.2008 Hemmingen-Zeilwald Dachsspuren im Schnee, mehrere Fotos
22.11.2008 Hemmingen-Zeilwald Dachsbau im Hemminger Zeilwald Fuchs als Untermieter
08.05.2008 Hemmingen im Glemstal bei der Hagmühle,
Dachsbau an der Hemminger Hagmühle wird inspiziert am 8.5.2008 von Dennis Heidrich
29.04.2008 Hemmingen im Glemstal bei der Hagmühle, Günter Breuer und Hildegard Gölzer inspizieren den Dachsbau
30.10.2005 Markgröningen am Dachsbau Dachsspuren

Zurück zum Seitenanfang 



Rotfuchs (Vulpes vulpes)
Der Rotfuchs ist nachtaktiv und eher fotoscheu. Erst nach 5 Jahren haben wir ein Foto von einem hier ansässigen Fuchs gemacht. Fuchsspuren gibt es aber häufig.

Romeo-Cotrus-002w.jpg Romeo-Cotrus-001w.jpg IMG_7343w.jpg DSC00489w.jpg
4.5.2011 Hemmingen
Zeilwald, südl. Waldrand
Foto von Romeo Cotrus
4.5.2011 Hemmingen
Zeilwald, südl. Waldrand
Foto von Romeo Cotrus
6.6.2011 Schwieberdingen
Immental, Gagerbach
Kamera: Canon EOS 5D MkII / 100-400
26.07.2014 Schwieberdingen
NABU Stückle Markt
Foto: Manfred Herda
ein Fuchs frühmorgens auf dem Feld südlich vom Zeilwald


...mehr über unseren
Zeilwald in Hemmingen
ein Fuchs frühmorgens auf dem Feld südlich vom Zeilwald


...mehr über unseren
Zeilwald in Hemmingen
der wohl junge Rotfuchs hat uns lange betrachtet. Da war schon ziemlich dunkel in Schwieberdingen am Gagerbach

...mehr über das Gebiet
→  Gagerbach in Schwieberdingen
Ein Fuchs ist auf dem NABU Stückle in den Holzhaufen eingezogen, den wir 2012 angelegt haben

... mehr über unser
Feuchtgebiet "Markt"
in Schwieberdingen

Fuchsspuren im Schnee laufen entlang der Waldwege. Der Fuchs im Hemminger Zeilwald wohnt in einem Dachsbau
Wie unterscheidet man anhand der Spuren ob es sich um einen kleinen Haushund oder um einen Fuchs handelt?
Dazu bildet man eine Linie zwischen den hinteren Krallenpaaren (an der Krallenwurzel, siehe rote Linie). Liegt diese Linie hinter den beiden vorderen Ballen, so ist die Spur von einem Fuchs. D.h. der Fuß vom Fuchs ist langgestreckter als vom Hund.

DSCF4937w.jpg DSCF4938w.jpg DSCF5164w.jpgDSCF5164w2.jpg DSCF7191w.jpg
22.11.2008 Hemmingen-Zeilwald
Kamera: Fuji Finepix F30
22.11.2008 Hemmingen-Zeilwald
Kamera: Fuji Finepix F30
24.11.2008 Hemmingen-Zeilwald
Kamera: Fuji Finepix F30
17.1.2010 Münchingen
Schwieberdinger Tal / Golfplatz Nippenburg
Kamera: Fuji Finepix F200
23.10.05 16:00 Markgröningen am Dachsbau
Kamera: Canon EOS 20D / 100-400@400
Fuchsspur im Schnee
entlang des Weges
 
Fuchsspur im Schnee
Abstand linke
Abdrücke 40 cm
Trittsiegel vomr Fuchs
ca. 5,5 cm lang
ca. 4 cm breit
(andere Füchse sind auch 6,5 cm lnag)
vorne rechts hat ein Fuchs nach Mäusen gegraben. Eugen Völlm zeigt die Fuchsspur

...mehr über unsere
Mausarten im Glemstal
recht eindeutig Fuchsspuren beim Markgröninger Dachsbau
kein Hund

Der folgende ausgestopfte Fuchs ist ein Jungtier aus Schwieberdingen:

DSCF6362w.jpg DSCF6342w.jpg DSCF6325f.jpg
15.12.2009 Schwieberdingen
NABU-Raum
Kamera: Fuji Finepix F200
15.12.2009 Schwieberdingen
NABU-Raum
Kamera: Fuji Finepix F200
15.12.2009 Schwieberdingen
NABU-Raum
Kamera: Fuji Finepix F200
5.3.06 11:06 Steinbruch Markgröningen
Kamera: Pentax Optio S
Fuchs und Dachs

...mehr über unseren
NABU-Raum Schwieberdingen

Fuchs
53 cm + 25 cm Schwanz

...mehr über unseren
NABU-Raum Schwieberdingen
junger Fuchs unbestimmte Spur. Eher kein Fuchs

Mehr Fotos vom Rotfuchs im Glemstal:
22.3.2009 Markgröningen, Siegental Heide III Ein Loch von einem Fuchs gegraben ca,. 15 cm Durchmesser wird auf der NABU-Wanderung von Walter Morgenstern kommentiert
23.3.2009 Hemmingen NABU-Stückle Wolfram Bock zeigt ein Loch im Asthaufen auf dem NABU-Stückle

22.11.2008 Hemmingen-Zeilwald Trittsiegel vom Fuchs im Schnee, Länge 6,5 cm
30.10.2005 Markgröningen am Dachsbau im Steinbruch Zimmermann, Markgröningen recht eindeutig Fuchsspuren im Schlamm beim Markgröninger Dachsbau und kein Hund
14.10.2008 Schwieberdingen Neumühle ein vom Fuchs bewohntes Loch im Dachsbau bei der Neumühle

Zurück zum Seitenanfang 
 

Beobachtete, aber noch unfotografierte Säugetiere im Glemstal:
 
   
Waschbär     Günter Breuer vom NABU Schwieberdingen-Hemmingen berichtet: Im Sommer 06 lag ein toter Waschbär im Straßengraben Immental an der Ampel nach Hemmingen. Unser  Revierförster Hr. Steinacker (Revier Markgröningen, Schwieberdingen u.a.) erzählt uns bei der NAJU Wanderung im April 2008: Waschbären breiten sich aus im Moment. In Nußdorf/Eberdingen ist der Waschbär auf jeden Fall da.
   
IltisUnser  Revierförster Hr. Steinacker (Revier Markgröningen, Schwieberdingen u.a.) erzählt uns 2008, dass im Revier Iltisse leben.
Helmut Theurer berichtet am 3.10.2010: "Am Neujahrstag 2003 lag ein toter Iltis auf der  Glemsbrücke in Schwieberdingen beim Spielwarengeschäft Hettrich.  Ich vermute der wollte über die Brücke und dann hat ihn ein Auto erwischt. Meine Frau war dabei. Von dem Iltis habe ich sogar ein Bild."
  

Steinmarder (Martes foina)
in Schwieberdingen und Hemmingen, heimlich und nachtaktiv,

DSC00875w.jpg DSCF9017w.jpg DSCF9015w.jpg DSC00395-2w.jpg
20.09.2011 Hemmingen
Lerchenstr.
Foto von Peter Krips
21.03.2012 Hemmingen
Lerchenstr.
Kamera: Fuji Finepix F200
21.03.2012 Hemmingen
Lerchenstr.
Kamera: Fuji Finepix F200
24.08.2011 Hemmingen -
Lerchenstr.
Foto von Peter Krips
Ein Marder in Hemmingen in seiner Wohnung erwischt. Der Marder wohnt an einer Scheune in einer hohlen Holzröhre in ca. 5m Höhe. Das erste Foto eines lebenden Marders auf unserer Markung! Peter Krips berichtet: "In der Scheune findet man überall die Losung des Marders." Ein Steinmarder. Denn der Nasenspiegel ist eindeutig rosa wie beim Steinmarder. Beim Baummarder wäre er braun. Die Augen habe ich dunkler gemalt. In der Scheune von Peter Krips lebte dieser Steinmarder. Wir haben ihn mit einer Lebendfalle gefangen. Zum Schutz der Zwergfledermäuse.
Hier trinkt er Wasser.
Der Steinmarder ist wieselflink und wirkt wie ein Raubtier. Samstag wird er wieder ausgewildert. In Hemmingen leben in der Scheune
von Peter Krips
Zwergfledermäuse
(auf das Foto klicken für mehr Infos)

...mehr über unsere
Fledermausarten im Glemstal

Nachtleben im Hemminger Wald im März 2013 von unserer Wildkamera beobachtet, die war von Markus Hansen super platziert worden.

Schon auf der NABU-Wanderung mit Johannes und Jochen Völlm am 5.6.2011 im Hemminger Zeilwald hatten wir die typische Losung der Marder mit Kirschkernen auf dem Weg beobachtet.
Ulla Kapaun vom NABU Schwieberdingen-Hemmingen hat dann am 13.08.2011 im Bauernwald (wenige 100 m neben dem Hemminger Zeilwald) einen Marder mit eindeutig weißem Kehlfleck, also einen Steinmarder fotografiert. 
Dank Markus Hansen und der Wildkamera haben wir jetzt kleine Filme vom Nachtleben wildlebender Marder im Hemminger Zeilwald:

Marder_20130320-01w2.jpg Marder_20130320-02w2.jpg
20.03.2013 Hemmingen
Kamera: Aldi Wildkamera
Foto: Markus Hansen
20.03.2013 Hemmingen
Kamera: Aldi Wildkamera
Foto: Markus Hansen
Neugieriger Marder an einem Dachsbau.
Sieht fast aus wie ein Weibchen.
Der weiße Kehlfleck passt besser zum Steinmarder (Martes foina) als zum Baummarder.

... mehr über den
Zeilwald in Hemmingen

gleicher Marder am gleichen Dachsbau.
Der Steinmarder ist im Bauerwald sicher nachgewiesen durch ein Foto von Ulla Kapaun vom 13.08.2011

... mehr über den
Zeilwald in Hemmingen

Einige Filme unserer Wildkamera stellen wir zur Verfügung in der "Telekom-Cloud".
Alle Filme sind in Schwieberdingen oder Hemmingen aufgenommen. Um die Filme anzuzeigen: Klicken Sie
hier


Günter Breuer berichtet im Dezember 2009:  "Steinmarder sehe ich öfters im Sommer. Kurz vor der Dämmerung läuft er vom Heimberg kommend ein Stück vom Heimbergweg herauf und verschwindet dann unter Motorhaube von parkenden Pkw.""Ein Steinmarder wohnt 2009 am grünen Klassenzimmer in Schwieberdingen. Er hat messerscharfe Krallen. Damit kann er gut auf Bäume klettern."
Helmut Theurer berichtet am 3.10.2010: "In Schwieberdingen habe ich an einem Abend am Bodensitz im Tannenberg drei verschiedene Marder gesehen. Vermutlich ein alter Marder und zwei junge Marder."
Walfried Steinbach vom NABU Schwieberdingen berichtet: "am 5.8.2008 habe ich einen toten Steinmarder in Schwieberdingen gesehen und fotografiert" Auf dem Foto ist der weiße Kehlfleck zu erkennen.

DSCF6371w.jpg DSCF6382w.jpg
15.12.2009 Schwieberdingen
NABU-Raum
Kamera: Fuji Finepix F200
15.12.2009 Schwieberdingen
NABU-Raum
Kamera: Fuji Finepix F200
ein Präparat eines Steinmarders
im NABU-Raum Schwieberdingen
(evtl. auch Baummarder)
43 cm + 30 cm Schwanz

...mehr über unseren
NABU-Raum Schwieberdingen

Raubtiere unserer Heimat
von rechts:
Dachs, Fuchs, Marder
(eher Stein als Baum)

...mehr über unseren
NABU-Raum Schwieberdingen

Der Steinmarder kann leicht mit seinem engen Verwandten, dem an den Lebensraum Wald gebundenen Baummarder (Martes martes) verwechselt werden. Im Unterschied zum Baummarder ist der Kehlfleck des Steinmarders aber meist weiß gefärbt und gegabelt (beim Baummarder gelblich und abgerundet) und das Fell braungrau (beim Baummarder kastanienbraun). Allerdings gibt es bei beiden Arten Färbungsvarianten, so dass eine sichere Unterscheidung bei der Beobachtung lebender Tiere nicht möglich ist. Der Nasenspiegel ist beim Steinmarder rosa (beim Baummarder braun), die Fußsohlen sind unbehaart (beim Baummarder behaart). Eine eindeutige Artzuordnung ist anhand von Gebissmerkmalen möglich: der 3. obere Backenzahn (3. Prämolar) ist beim Steinmarder am Außenrand abgerundet und beim Baummarder eingebuchtet. Der Baummarder ist ca. 45 bis 55 cm groß. Er hat eine buschige, ca. 30 cm lange "Rute" (Schwanz), relativ kurze "Branten" (Läufe), behaarte Sohlen, einen spitzen, seitlich abgeplatteten Kopf und eine schwarze Nase. Der dichte, langhaarige Balg ist rot- bis dunkelbraun gefärbt und weist einen gelblichen Kehl- bzw. Brustfleck auf. Er ist nachtaktiv und außerhalb der "Ranzzeit" ein Einzelgänger, der tagsüber in Baumhöhlen, verlassenen Greifvogelhorsten oder in Eichhörnchenkolben schläft. Er lebt in großen, geschlossenen Waldgebieten und ist nicht zu verwechseln mit dem Steinmarder, der gerne die Kabel von Kraftfahrzeugen anbeißt.

Mehr Fotos vom Steinmarder im Glemstal:
29.09.2012 Hemmingen Zeilwald Foto von Markus Hansen:
Marder auf einem Baum am Parkplatz (Präparat aufgestellt von Manfred Herda bei der Spurensuche im Zeilwald mit der Naturschutzjugend Hemmingen)
13.08.2011 Eberdingen Bauernwald Foto von Ursula Kapaun: ein Totengräber-Käfer (Necrophorus vespillo) auf einem toten Marder im Bauernwald mit eindeutig weißem Kehlfleck
11.06.2009 Markgröningen Strasse Markgröningen-Tamm ein Steinmarder (Martes foina), eindeutig erkennbar am weißen Kehlfleck, überfahren am Straßenrand

 

Mauswiesel (Mustela nivalis)
in Schwieberdingen und Hemmingen selten, werden aber gelegentlich gesichtet

Wir erzählen eine Geschichte über ein Schwieberdinger Mauswiesel
    im Gemeindeblatt Schwieberdingen und Hemmingen:

15.10.2009
Woche 42

Mit den Natur-Entdeckern unterwegs:
Raubtiere im Glemstal

Das glaubst Du nicht? Du denkst, ich erzähle Schauergeschichten?  ...mehr

DSCF1644w5.jpg


Mauswiesel in der Gartenanlage Gagerbach in  Schwieberdingen:

IMG_9729w.jpg IMG_9750w.jpg IMG_9792w.jpg IMG_9765w2.jpg
11.08.2011 Schwieberdingen
Gagerbach, beim Weinberg
Kamera: Canon EOS 5D MkII / 100-400
11.08.2011 Schwieberdingen
Gagerbach, beim Weinberg
Kamera: Canon EOS 5D MkII / 100-400
11.08.2011 Schwieberdingen
Gagerbach, beim Weinberg
Kamera: Canon EOS 5D MkII / 100-400
11.08.2011 Schwieberdingen
Gagerbach, beim Weinberg
Kamera: Canon EOS 5D MkII / 100-400
ein Mauswiesel wohnt bei dem "Mini-Weinberg" im Gagerbach. Es
 hat uns entdeckt

...mehr über das Gebiet
Gagerbach in Schwieberd.
ein anderes Mauswiesel ca. 10m weiter an einem Bau. Schaut nach links

...mehr über das Gebiet
Gagerbach in Schwieberd.
 Mauswiesel schaut nach rechts

...mehr über das Gebiet
Gagerbach in Schwieberd.
Mauswiesel schaut uns an

...mehr über das Gebiet
Gagerbach in Schwieberd.
IMG_9765w.jpg IMG_9795w.jpg 2011-08-14-Romeo-Cotrus-012.jpg
11.08.2011 Schwieberdingen
Gagerbach, beim Weinberg
Kamera: Canon EOS 5D MkII / 100-400
11.08.2011 Schwieberdingen
Gagerbach, beim Weinberg
Kamera: Canon EOS 5D MkII / 100-400
14.08.2011 Schwieberdingen
Gagerbach, beim Weinberg
Foto Romeo Cotrus
Das Mauswiesel am Eingang von einem Bau

...mehr über das Gebiet
Gagerbach in Schwieberd.
Das Mauswiesel war extrem flink und wendig. Wieselflink sozusagen. Blitzschnell rein und raus in diesen Bau.

...mehr über das Gebiet
Gagerbach in Schwieberd.
Absolut rätselhaft.
Drei Tage später scheint eine Maus
in diesem Bau zu wohnen. Sieht aus wie eine Rötelmaus. Hat diese kleine Maus das etwa doppelt so große Mauswiesel gefressen??

...mehr über unsere
Mausarten im Glemstal


am Golfplatz in Schwieberdingen:

Als ich im Oktober 2009 den Rundweg um den Golfplatz Nippenburg entlanglief, hörte ich plötzlich ein lautes Quieken und zwei winzige braune Mini-Wiesel rauften miteinander. Haben mich aber leider entdeckt und sind in ihren Bau verschwunden. Kurz darauf kam ein einzelnes Exemplar aus dem Bau und machte Männchen und schaute in meine Richtung und lies sich fotografieren. Dann war es auch weg. Der Bau ist winzig und sieht aus wie ein Mauseloch.
Mauswiesel jagen offenbar Mäuse in den Mauselöchern. Und brauchen daher eine gewisse Mindestdichte an Mauselöchern. Tatsächlich gibt es auf der Rundweg um den Golfplatz Nippenburg viele Mauselöcher und man hört es öfter rascheln.

IMG_1282w3.jpg IMG_1282w.jpg IMG_1282w2.jpg IMG_1266w.jpg DSCF1644w.jpg
3.10.2009 Schwieberdingen
Rundweg um Golfplatz Nippenburg, Südseite
Kamera: Canon EOS 5D MkII / 100-400
3.10.2009 Schwieberdingen
Rundweg um Golfplatz Nippenburg, Südseite
Kamera: Canon EOS 5D MkII / 100-400
3.10.2009 Schwieberdingen
Rundweg um Golfplatz Nippenburg, Südseite
Kamera: Canon EOS 5D MkII / 100-400
3.10.2009 Schwieberdingen
Rundweg um Golfplatz Nippenburg, Südseite
Kamera: Canon EOS 5D MkII / 100-400
29.4.2009 Schwieberdingen
NABU Raum in der Hauptschule
Kamera: Fuji F100
Ein Mauswiesel
vor seinem Bau.
Ziemlich winzig!
 
Mauswiesel
(Mustela nivalis)
in groß
Ein Mauswiesel
vor gelbem Korbblütler: gewöhnliches Bitterkraut

..mehr über unsere
Korbblütler im Glemstal
als Größenvergleich: der gelbe Korbblütler beim Mauswieselbau mit
Falter (Postillion?)

..mehr über unsere
Gelblinge im Glemstal
Korbblütler im Glemstal
ein Mauswiesel-Präparat
 im NABU-Raum
Fundort und -Datum unbekannt

...mehr über unseren
 NABU-Raum in Schwieberdingen

 

Berichte über Wieselsichtungen in Schwieberdingen und Hemmingen
Manfred Herda hat beim NABU Winterspaziergang am 25.1.2009 im Hemminger Schlosspark ein Mauswiesel in diesem Loch links verschwinden sehen. Bei den durch diese Sichtung angeregten Gesprächen über Mauswiesel stellt sich heraus, dass Mauswiesel und Hermeline in und nahe bei Schwieberdingen gelegentlich beobachtet werden. Ich selbst habe erst im Oktober 2009 mein erstes Mauswiesel in Schwieberdingen beim Golfplatz gesehen. Denke also, dass sie recht selten sind.

DSCF5977w.jpg DSCF5979w.jpg DSCF6002w.jpg IMG_1826w.jpg
25.1.2009 Hemmingen Schlosspark
Kamera: Fuji Finepix F30
25.1.2009 Hemmingen Schlosspark
Kamera: Fuji Finepix F30
25.1.2009 Hemmingen Schlosspark
Kamera: Fuji Finepix F30
25.1.2009 Hemmingen Schlosspark
Kamera: Canon EOS 5D MarkII / 24-105 1:4
In diesem Loch im Hemminger Schlosspark hat Manfred Herda ein Mauswiesel verschwinden sehen
 
Manfred Herda: hat bei der heutigen NABU-Wanderung ein Mauswiesel gesehen Heidi Hönes: hatte ein Mauswiesel auf ihrem Grundstück am großen Fels in Schwieberdingen
am großen Fels in Schwieberdingen
Günter Breuer (Mitte):
hat im März 2008 mehrmals ein Mauswiesel im Immental bei Schwieberdingen gesehen.

Fr. Heidi Hönes vom NABU Schwieberdingen-Hemmingen berichtet:
"Karl-Heinz Widmann hat mal an unserer Wengerthütte in Schwieberdingen ein Mauswiesel gesehen. Die Wengerthütte ist am großen Fels bei der Vogelfutterstelle. Und im Naturfelsen oberhalb der natürlichen Höhle hat das Mauswiesel gewohnt. Das Mauswiesel ist dann ausgezogen weil es ihm zu laut war, weil er da beim Höhlenausbau eine Woche gehämmert und gemauert hat."


Günter Breuer vom NABU Schwieberdingen-Hemmingen berichtet:
"März 2008 habe ich im Immental bei Schwieberdingen  mehrmals ein Mauswiesel in der Sonne „tanzen“ sehen."

Fr. Heidi Hönes:
"Wenn Sie von der Schwieberdinger Neumühle über die kleine Brücke an der Glems gehen, sind links Steine. Und auf den Steinen links habe ich ein Wiesel gesehen. Das stinkt ja auch so. Das war auch ein tolles Erlebnis."

Günter Breuer berichtet auf der Jahreshauptversammlung 2009 vom NABU Schwieberdingen-Hemmingen: "Ich habe ein ausgestopftes Mauswiesel im NABU Jugendraum als Anschauungsobjekt für die Jugendarbeit." ...mehr über unseren  NABU-Raum in Schwieberdingen

Das Mauswiesel verfärbt im Winter in Mitteleuropa nicht und hat eine Lunte (Schwanz) OHNE schwarze Spitze. Es ist 16 - 20 cm, einschließlich Schwanz 20 - 29 cm lang. Das Mauswiesel gilt als das kleinste Raubtier unserer Erde.

MAH90083w.jpg DSCF6406w2.jpg
29.09.2012 Hemmingen
Zeilwald
Foto von Markus Hansen
15.12.2009 Schwieberdingen
NABU-Raum
Kamera: Fuji Finepix F200
Präparat eines Mauswiesel
am Parkplatz bei der Spurensuche im Zeilwald
(aufgestellt von Manfred Herda)
Raubtiere unserer Heimat
von vorne:
- Mauswiesel? (Evtl. kl. Hermelin)    19 cm + 08 cm Schwanz
- Hermelin im Sommerfell !              27 cm + 15 cm Schwanz
- Steinmarder? (evtl. Baummarder)  43 cm + 30 cm Schwanz
- Fuchs                                           53 cm + 25 cm Schwanz
- Dachs                                          77 cm + 15 cm Schwanz

...mehr über unseren
NABU-Raum Schwieberdingen

Hermelinsichtungen im Glemstal

5_TG5520w.jpg 5_TG5417w.jpg
5_TG5508f2.jpg
5_TG5486w.jpg
12.02.2016 Stuttgart
beim Schloss Solitude

Kamera: Canon EOS 5D MkIII/ 500f4 x 2.0
12.02.2016 Stuttgart
beim Schloss Solitude

Kamera: Canon EOS 5D MkIII/ 500f4 x 2.0
12.02.2016 Stuttgart
beim Schloss Solitude

Kamera: Canon EOS 5D MkIII/ 500f4 x 2.0
12.02.2016 Stuttgart
beim Schloss Solitude

Kamera: Canon EOS 5D MkIII/ 500f4 x 2.0
ein Hermelin im Winterfell
an Schloss Solitude, also im Glemstal.
Das Hermelin
hält sich vermutlich für gut getarnt
das Hermelin machte gelegentlich Männchen Das Hermelin war scheu. Ständig ist es in einem seiner Löcher und schaut dann nur wenig heraus das Hermelin wirkte lebenslustig und verspielt. Machte große Sprünge und tollte ganz wild ohne erkennbaren Zweck über die Wiese. Etwa wie ein kleines Kind beim Spielen.
5_TG5514w.jpg IMG_1778w.jpg DSCF6520w.jpg
12.02.2016 Stuttgart
beim Schloss Solitude

Kamera: Canon EOS 5D MkIII/ 500f4 x 2.0
25.1.2009 Hemmingen Schlosspark
Kamera: Canon EOS 5D MarkII / 24-105 1:4
15.12.2009 Schwieberdingen
NABU-Raum
Kamera: Fuji Finepix F200
schaut putzig aus seinem Loch und lugt über einen Grasbüschel
Hildegard Gölzer (links):
hat im Sommer 2008 bei Möglingen ein hermelinartiges Tier gesehen
ein Präparat eines Hermelin im Sommerfell!
im NABU-Raum Schwieberdingen
27 cm + 15 cm Schwanz

...mehr über unseren
NABU-Raum Schwieberdingen

Das Hermelin (Mustela erminea) zählt, ebenso wie sein kleinerer Verwandter das Mauswiesel (Mustela nivalis), zur Familie der Marderartigen. Gemeinsam mit dem Mauswiesel zählt es zu den kleinsten Raubsäugetieren. Länge: 20-30cm (je nach Alter und Geschlecht). Gewicht: 250 bis 350g. Lebensraum: Felder, feuchte Niederungen. Im Winter trägt es ein reinweißes Winterfell. Aber noch mit schwarzer Schwanzspitze.

Fr. Hildegard Gölzer vom NABU Schwieberdingen-Hemmingen berichtet:
"Im Sommer 2008 habe ich beim Fahrradfahren von Schwieberdingen nach Ludwigsburg an der ICE-Strecke etwa in der Höhe von Möglingen ein wieselartiges Tier mit weißem Bauch gesehen. Es ist vor mir schnell über den Weg gerannt und im Acker verschwunden. Hinterher habe ich in Bestimmbüchern nachgeschaut. Es war kein Steinmarder. Und es war auch nicht so groß wie ein Marder. Aber ganz deutlich größer als ein Mauswiesel. Eigentlich kommt nur ein Hermelin in Frage."

Zurück zum Seitenanfang 

 
 

Natur im Glemstal:

Fauna
im Glemstal


(aufs Foto klicken)
Flora
im Glemstal


(aufs Foto klicken)
Landschaft
 im Glemstal


(aufs Foto klicken)
Aktuelle Sichtungen
im Glemstal


(aufs Foto klicken)
NABU Aktionen
im Glemstal


(aufs Foto klicken)
die Welt außerhalb
des Glemstals


(aufs Foto klicken)

zur Glemstal homepage